Newsletters
Donate
Sections
Grist 50: 2020
Climate
Justice
Politics
Advice
Science
Food
Video
My Climate Candidate
Fix
Podcast
More
Donate
About Grist
Contact Us
Grist Team
Pressroom
Become a Member
Grist Visionaries Bureau
Jobs
Fellowship Program
Advertise
Privacy Policy
Terms of Use
Follow
Newsletters
Facebook
Twitter
Instagram
YouTube
RSS Feed
JSON feed
Grist
Climate
Justice
Politics
Advice
Science
Food
Video
Fix
Podcast
Newsletters
Donate
Irma
Climate Desk
After Harvey and Irma, people of color face displacement
orange count
Hurricane Irma wiped out half of Florida’s citrus crop.
oh, crap
In Irma’s wake, Florida deals with a long-predicted apoocalypse.
look what the floodwaters dragged in
Irma dredges up snakes, alligators, and, of course, the ‘Florida Man.’
No More Normal
Harvey and Irma aren’t natural disasters. They’re climate change disasters.
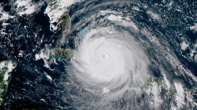
Irma
Irma has broken a mind-boggling number of records.
three too many
Irma, Jose, Katia: We’ve never seen this kind of hurricane power in the Atlantic.
eye for an eye
Here’s why Irma is a monster hurricane, in one GIF.
Irma
Hurricane Irma flattens homes and causes power outages in the Caribbean.
Previous
See More