Articles by Eric Holthaus
Eric Holthaus is a meteorologist and columnist for Grist, covering climate science, policy, and solutions. He has previously written for the Wall Street Journal, Slate, and a variety of other publications.
All Articles
-
Record-breaking flooding in Nebraska is visible from space
A hurricane-strength storm system unleashed torrential rainfall over the deep Nebraska snowpack.
-
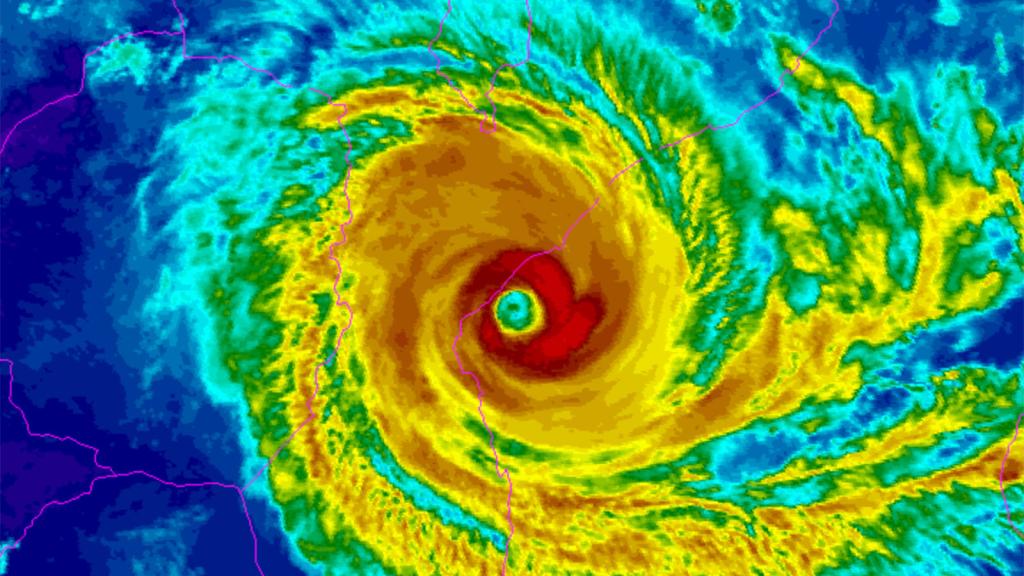
Mozambique braces for ‘extremely dangerous’ Cyclone Idai
It's a situation the World Meteorological Organization has called a “potential worst case scenario.”
-
Ilhan Omar’s 16-year-old daughter is co-leading the Youth Climate Strike
Grist's Eric Holthaus sat down with Isra Hirsi, 16, to talk politics, parents, and this week's Youth Climate Strike
-
There must be 50 ways to be courageous
Our annual Grist 50 list is back, and this year it comes at the perfect moment.